Линки доступности

Супертайфун обрушился на Филлипины


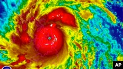
Шторм «Хайян»
Шторм «Хайян»

В опасности находятся более 12 миллионов человек

Сильнейший в этом году тайфун и, возможно, самый сильный за всю историю ударил по центральному острову Филиппин в пятницу, вынудив миллионы людей переместиться в более безопасные места или спрятаться в специальных штормовых убежищах.

«Хайян», шторм 5-ой категории, обрушился на острова Лейте и Самар с 5-6-метровой волной и направился в густонаселенную центральную и южную часть Филиппин, включая курортный остров Боракай и другие места отдыха.

Власти предупредили, что в опасности находятся более 12 миллионов человек, включая жителей второго по величине филиппинского города Себу. Речь идет также о районах, которые еще не оправились от шторма 2011 года и землетрясения магнитудой 7,1 балла, произошедшего в прошлом месяце.

«Супертайфун, скорее всего, приведет к оползням и ветрам силой 195 миль в час (313 км в час). Это делает «Хайян» самым сильным тропическим циклоном (тайфуном), достигшим берега», - сказал эксперт по ураганам и директор метеорологических исследований в американской Weather Underground Джефф Мастерс.

По словам инженеров, тайфуны и циклоны такой силы способны разрушить даже штормовые убежища из-за сильного давления, которое они создают.

Власти остановили движения паромов и рыболовство. Отменены также около 200 внутренних авиарейсов. Прекратили движение и пригородные автобусы. В центральной части Филиппин закрыты школы, офисы и магазины, а больницы, армия и сотрудники аварийных служб готовятся принимать участие в спасательных операциях.
XS
SM
MD
LG